RUST IMAGE REPO
WHAT ARE RUSTS?
HOW TO USE
EXPLORE THE GALLERY
RELATED PUBLICATIONS
THE TEAM
EXPLORE THE IMAGES
Austropuccinia
Austropuccinia psidii
Coleosporium
Coleosporium plumeriae
Endophyllum
Endophyllum osteospermi
Kuehnola
Kuehnola uridinis
Melampsora
Melampsora larici-populina
Miyagia
Miyagia pseudosphaeria
Phakopsora
Phakopsora nishidana
Phakopsora pachyrhizi
Phragmidium
Phragmidium fragariae
Phragmidium mucronatum
Puccinia
Puccinia antherrini
Puccinia coronata
f. sp.
avenae
Puccinia dehiscens
Puccinia digitariae
Puccinia doidgeae
Puccinia graminis
f. sp.
avenae
Puccinia graminis
f. sp.
tritici
Puccinia graminis subsp. graminicola
Puccinia granularis
Puccinia helianthi
Puccinia hemerocallidis
Puccinia hordei
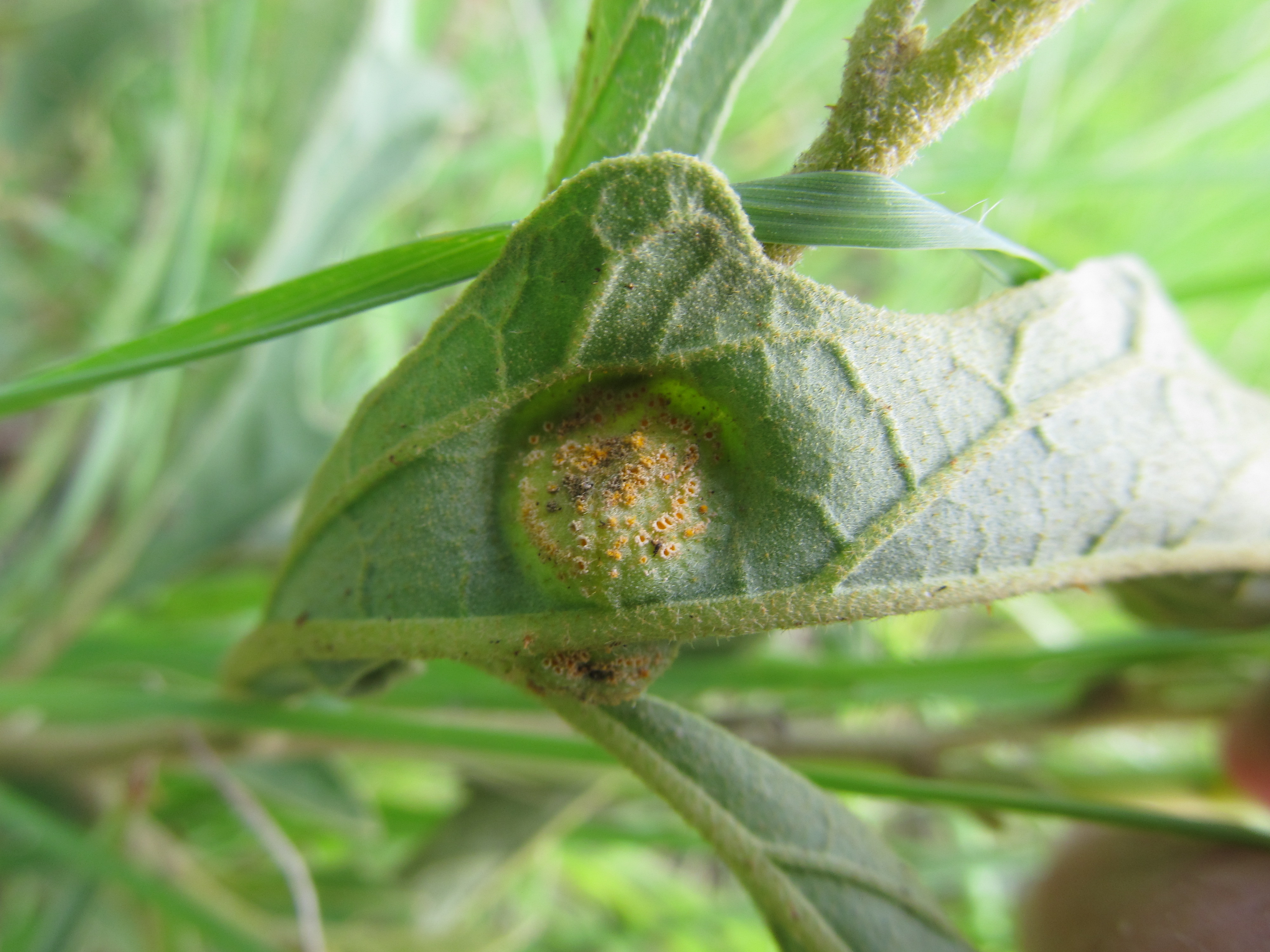
Puccinia lagenophorae
Puccinia magnusiana
Puccinia malvacearum
Puccinia menthae
Puccinia pelargonii-zonalis
Puccinia polycampta
Puccinia polypogonis
Puccinia recondita f. sp. secalis
Puccinia porri
Puccinia sorghi
Puccinia stenotaphri
Puccinia striiformis
f. sp.
tritici
Puccinia tanaceti
Puccinia taraxaci
Puccinia thaliae
Puccinia triticina
Tranzschelia
Tranzschelia discolor
Uromyces
Uromyces albucae
Uromyces aloes
Uromyces appendiculatus
Uromyces badius
Uromyces bidenticola
Uromyces dianthi
Uromyces ixiae
Uromyces kentaniensis
Uromyces rumicis
Under Investigation
Bromus diandrus
Thinopyrum distichum